Con mắt ‘ǫᴜáɪ ᴠậᴛ’ ᴄủᴀ sɪêᴜ ʙãᴏ mạnh nhất hành tinh năm 2026
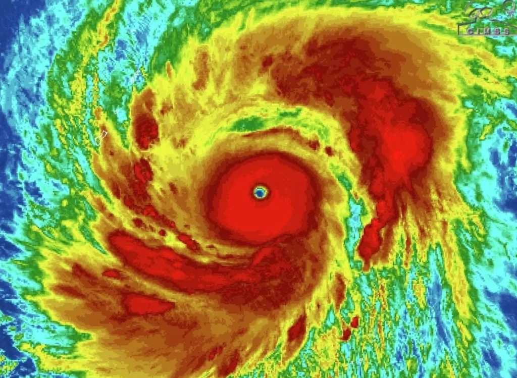
Ảnh vệ tinh hồng ngoại cho thấy siêu bão Sinlaku đạt cấu trúc hoàn hảo, trong khi đường đi liên […]
Ảnh vệ tinh hồng ngoại cho thấy siêu bão Sinlaku đạt cấu trúc hoàn hảo, trong khi đường đi liên […]
Ảnh vệ tinh hồng ngoại cho thấy siêu bão Sinlaku đạt cấu trúc hoàn hảo, trong khi đường đi liên
Sáng 8-4, Quốc hội thực hiện quy trình phê chuẩn bổ nhiệm Phó Thủ tướng Chính phủ, Bộ trưởng và
Sáng 8-4, Quốc hội thực hiện quy trình phê chuẩn bổ nhiệm Phó Thủ tướng Chính phủ, Bộ trưởng và
Chủ tịch nước và Thủ tướng là 2 chức danh lãnh đạo chủ chốt được kiện toàn trong ngày làm
Với 491/491 đại biểu tán thành, Quốc hội đã thông qua nghị quyết về việc bầu ông Trần Thanh Mẫn,
Nếu mức lương cơ sở tăng 8% từ ngày 1/7/2026 như đề xuất, thu nhập của nhiều chức danh lãnh
Quân đội và công an triển khai nhiều phương án bảo đảm an ninh, an toàn trên đất liền, biên
Đóng BHXH bao nhiêu năm để hưởng tối đa 75% lương hưu từ 2026? Cách tính lương hưu từ năm